Działki budowlane z WZ na domy jednorodzinne
Robuń gm. Gościno Pokaż na mapie ›
Odświeżone: Wtorek, 17 Marzec, 2026 23:09
45 000 zł
Szczegóły ogłoszenia
- Kategoria: Działki i grunty / Sprzedaż
- Sprzedaż:Bez pośredników
- Cena: 45 000 zł
Opis oferty
Obniżona cena!Na sprzedaż działki budowlane z warunkami zabudowy dla wolnostojącego domu jednorodzinnego oraz dwóch domów jednorodzinnych w zabudowie bliźniaczej.
Cały teren działek został niedawno wyrównany i uporządkowany.
Wieś Robuń znajduje się:
- 25min od Kołobrzegu i nadmorskich plaż,
- 22min do Hossoland nowego parku rozrywki,
- 6km od miejscowości gminnej Gościno z pełną infrastrukturą,
- 6km do plaży nad ślicznym Jeziorem Kamienica, urokliwych lasów i rzeki Błotnicy,
- 700m do szkoły podstawowej.
We wsi znajduje się szkoła podstawowa, boisko i orlik, sklep, kościół, przystanek autobusowy.
Powstają nowe domy jednorodzinne, działa również gospodarstwo agroturystyczne.
Cicho i spokojnie, niedaleko do lasów i plaż oraz do większych miejscowości.
Oferta dostępna również w opcji zakupu wszystkich 3 działek (cena do negocjacji).
WZ przewidują:
- powierzchnię zabudowy do 22 % powierzchni działki
- szer. elewacji frontowej do 13,2 m,
- wys. górnej krawędzi elewacji frontowej do 3,5 m,
- wys. głównej kalenicy do 9 m,
- do 2 kondygnacji, w tym druga w dachu,
- kąt nachylenia dachu 25-45 st.
- dach dwuspadowy,
- równoległy kierunek głównej kalenicy do frontu działki
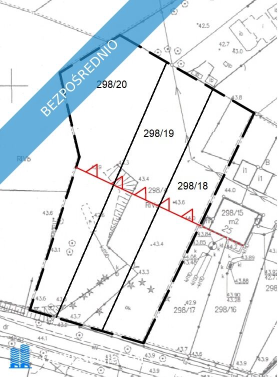
1. Dz. 298/20 o pow. 1 303 m2 (dom wolnostojący do 286 m2 pow. zabudowy i ponad 420 m2 pow. całkowitej).
Cena 55 000 zł.
2. Dz. 298/19 o pow. 1 150 m2 (bliźniak, do 253 m2 pow. zabudowy i ok. 380 m2 pow. całkowitej), na tyłach działki przechodzi linia niskiego napięcia, nie koliduje z budową.
Cena 45 000 zł.
3. Dz. 298/18 o pow. 1 090 m2 (bliźniak, do 253 m2 pow. zabudowy i ok. 380 m2 pow. całkowitej), na tyłach działki znajduje się słup niskiego napięcia, nie koliduje z budową.
Cena 45 000 zł.
Możliwość negocjacji ceny przy zakupie obu działek 298/19 i 298/18.
Przy takim rozwiązaniu możliwość wybudowania jednego jeszcze większego domu.
Wszystkie media (prąd, telekomunikacja, woda, kanalizacja) w drodze przy działce!
Zapewnienia od gestorów o możliwości przyłączenia.
Dostęp do drogi powiatowej.
Jedno ze zdjęć przedstawia przykładową zabudowę.
Ogłoszenie dodane do wielu portali nieruchomości przez portal www.odwlasciciela.pl
Sprawdź zainteresowanie tym ogłoszeniem
Wyświetlenia
Data dodania
Ostatnio widziany
Obserwujących
Wysłane zapytania
Odsłony telefonu
- Wypromuj ogłoszenie
- Zgłoś naruszenie
- Drukuj ulotkę
- Edytuj/usuń ogłoszenie
- Udostępnij ogłoszenie
- Dodaj na Facebook
































